Be part of an exciting new development in one of Rolleston’s fastest-growing residential zones. Positioned directly opposite Lemonwood Grove School and an established childcare centre, this high-profile site offers unmatched exposure and convenience for health and wellness operators.
With significant population growth in the surrounding area and flexible tenancy options available, this is a rare opportunity to secure space in a custom-designed hub tailored to medical, fitness, and allied health professionals.
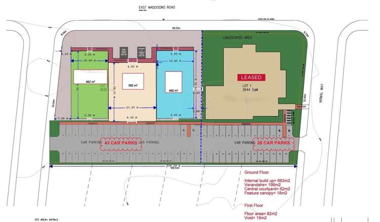
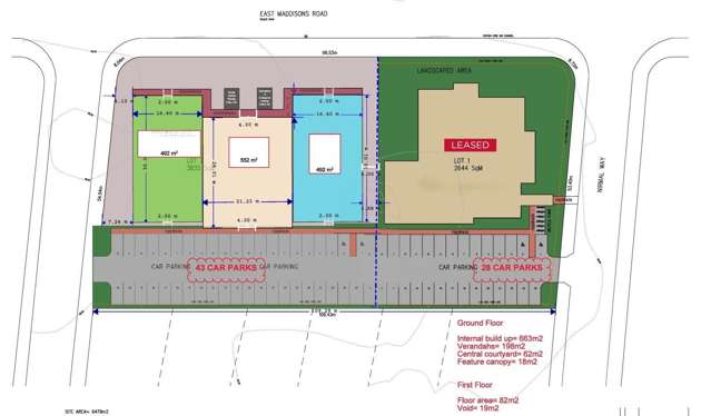
Key Features:
- Unit 1: 958m² (GF 448m² / L1 480m²)
- Unit 2: 620m²
- Unit 3: 478m²
- On-site car parking
- Designed for medical, wellness, and fitness users
- Thriving family-oriented catchment
- Estimated completion: December 2026
For more information contact the landlords' agents Joel Everson on 022 1990 300 or Kyle Aubrey on 027 225 3532