• 6,374sqm (more or less) of vacant land
• Key strategic location
• Zoned Industrial
• Close proximity to the base
Vendors plans have changed delivering a unique opportunity for savvy investors, developers or owner occupiers.
Positioned within the master-planned Te Rapa Gateway Precinct, this 6,374sqm (approx.) flat, industrial-zoned site offers a rare opportunity to secure prime land in one of Hamilton’s most sought-after industrial locations.
Surrounded by national brands such as Mitre 10 Mega, Harvey Norman, and The Base, the site benefits from excellent exposure and proximity to major arterial routes, making it ideal for a wide range of uses.
Whether you're looking to develop, invest or occupy, this property delivers scale, strategic positioning, and long-term growth potential.
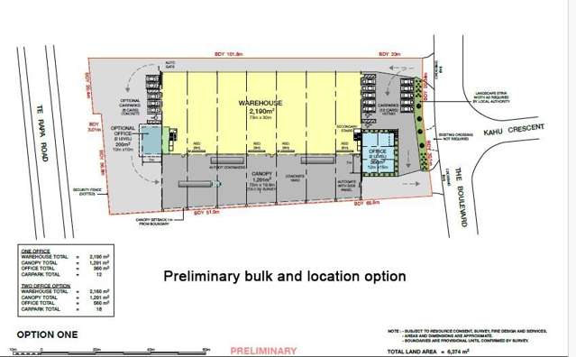
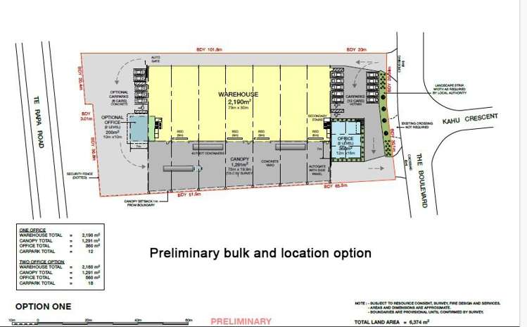
A preliminary bulk and location is shown as an example of a potential layout , however developers and owner occupiers will enjoy a wide range of options under the current zoning an existing resource consent.
Te Rapa Gateway is a thriving business environment, home to leading national and international operators. With robust infrastructure and excellent connectivity, it’s the ideal platform for your next strategic move.