SOLE AGENT
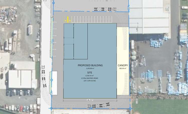
Vendor is creating an opportunity for you to be involved in the design of this new industrial building in the heart of Hautapu. Plans for a new 3,293m2 building on over 6,163m2 of land .
Create the size of tenancy that suits your business, call us today to discuss the options on this prime site.
Call leasing agent